1709 Marietta Road NWAtlanta, GA 30318
Due to the health concerns created by Coronavirus we are offering personal 1-1 online video walkthough tours where possible.




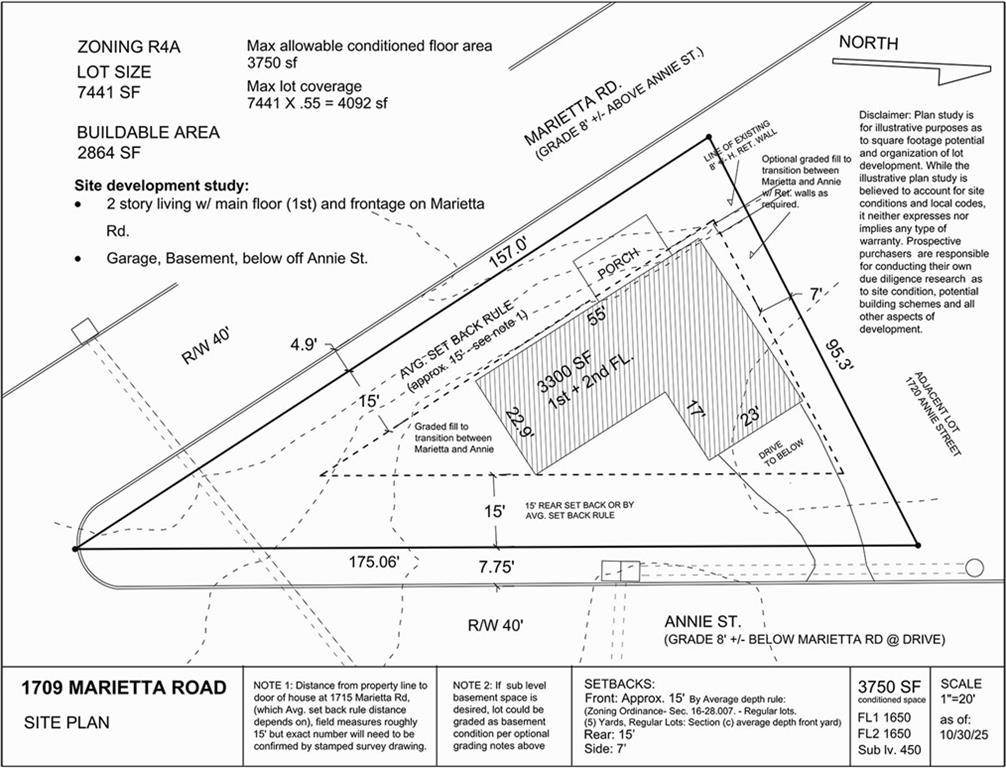
Here’s your chance to build from scratch in the desirable Hills Park neighborhood! Claim one of the few vacant lots left for your dream home, or combine this lot and the adjacent parcel (1720 Annie St) to create something special. Take advantage of potential downtown views with a rooftop terrace. Easy access to Marietta Boulevard and nearby attractions via Carroll Drive, as well as the action along Chattahoochee Avenue, including dining and socializing at The Works. Right around the corner is Top Golf, shopping at Westside Market, and the ultimate in dining at Michelin-starred Bacchanalia. West Midtown and Atlantic Station are within easy reach, as are Midtown proper and Buckhead. Atlanta’s largest greenspace, Shirley Park (aka Shirley Clarke Franklin Park) is just over a mile down Marietta ROAD. Lot Information: Zoning: R4-A Single Family, Area: 7,441 SF / .170 acre, Buildable area: approximately 2,800 SF, Maximum lot coverage: 4,092 SF, Maximum allowable floor area: 3,750 SF, Front yard setback: Approximately 15' (average depth front yard setback rule), Rear yard setback: 15', Side yard setback: 7'. See site plan and survey.
| 3 weeks ago | Status changed to Active | |
| 3 weeks ago | Price changed to $175,000 | |
| 3 weeks ago | Listing updated with changes from the MLS® | |
| 4 weeks ago | Listing first seen on site |
Listings identified with the FMLS IDX logo come from FMLS and are held by brokerage firms other than the owner of this website and the listing brokerage is identified in any listing details. Information is deemed reliable but is not guaranteed. If you believe any FMLS listing contains material that infringes your copyrighted work, please click here to review our DMCA policy and learn how to submit a takedown request.
© 2017-2025 First Multiple Listing Service, Inc.
Did you know? You can invite friends and family to your search. They can join your search, rate and discuss listings with you.